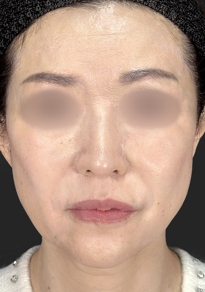
【60代女性】鼻孔縁下降術(コンポジットグラフト)|3ヵ月後
- 鼻の整形
- 鼻孔縁下降術(鼻孔縁形成術)
- 女性
- 手術
- 60歳代
症例写真
施術概要
鼻孔縁下降術(鼻孔縁形成術)は、鼻孔の外側の縁である鼻孔縁(びこうえん)に自家組織を移植して下降させます。
皮膚と軟骨を同時に移植して鼻の形を整える、コンポジットグラフトと呼ばれる方法を用いました。
鼻の穴が見えづらくなり、鼻の存在感を薄くできます。
| 施術時間 | 60分~100分程度 | 使用する麻酔 | 局所麻酔・静脈麻酔 |
|---|---|
| 術後の通院 | 3日後:テープ固定除去 1週間後:鼻の抜糸 2週間後:組織採取部の抜糸 1ヵ月後・3ヵ月後:経過診察 ※通院回数は、術後の経過などによって個人差があります。 |
| リスク・副作用 | 痛み:施術当日は若干鈍痛がありますが、数日間で落ち着きます。 腫れ:3日~1週間程度で落ち着きます。 傷痕:術後暫く赤く、硬くなります。3ヵ月程度で落ち着きますが、なじむまでには6ヵ月以上かかることもあります。 内出血:1~2週間程度で落ち着きます。 血腫:術後に出血が起こり、皮下に溜まることがあります。 変形:鼻翼や鼻孔の形・大きさは、元々左右非対称であることが多く、左右差がやや強調される場合があります。 ※どのような手術でも極稀に、傷口の炎症や感染が起こる可能性があります。 |
| シャワー | 鼻・組織採取部を除いて翌日から可能 |
| 洗顔 | 患部を除いて翌日から可能 ※テープ固定が濡れない様にしてください。 |
| メイク | テープ固定除去後から可能 |
| 入浴 | 抜糸終了後から可能 |
- 施術時間
- 60分~100分程度
- 使用する麻酔
- 局所麻酔・静脈麻酔
- 術後の通院
- 3日後:テープ固定除去
1週間後:鼻の抜糸
2週間後:組織採取部の抜糸
1ヵ月後・3ヵ月後:経過診察
※通院回数は、術後の経過などによって個人差があります。
- リスク・副作用
- 痛み:施術当日は若干鈍痛がありますが、数日間で落ち着きます。
腫れ:3日~1週間程度で落ち着きます。
傷痕:術後暫く赤く、硬くなります。3ヵ月程度で落ち着きますが、なじむまでには6ヵ月以上かかることもあります。
内出血:1~2週間程度で落ち着きます。
血腫:術後に出血が起こり、皮下に溜まることがあります。
変形:鼻翼や鼻孔の形・大きさは、元々左右非対称であることが多く、左右差がやや強調される場合があります。
※どのような手術でも極稀に、傷口の炎症や感染が起こる可能性があります。
- シャワー
- 鼻・組織採取部を除いて翌日から可能
- 洗顔
- 患部を除いて翌日から可能
※テープ固定が濡れない様にしてください。
- メイク
- テープ固定除去後から可能
- 入浴
- 抜糸終了後から可能
費用
¥550,000税込
2025年12月現在
別途:術前血液検査代・麻酔代
担当医師コメント
鼻の穴が見えすぎることを気にされていた患者様。
鼻孔縁下降術で鼻孔の露出を抑え、自然でバランスの良い鼻先へと整えています。
また、耳の軟骨だけではなく、皮膚も同時に移植(コンポジットグラフト)することで、
患者様のお悩みに合わせてしっかりと変化させることができました。











![鼻フルコース[クローズ法]+鼻孔縁下降術](https://www.joeclinic.jp/renewal-hp/wp-content/uploads/2025/12/a0138_01.jpg)









