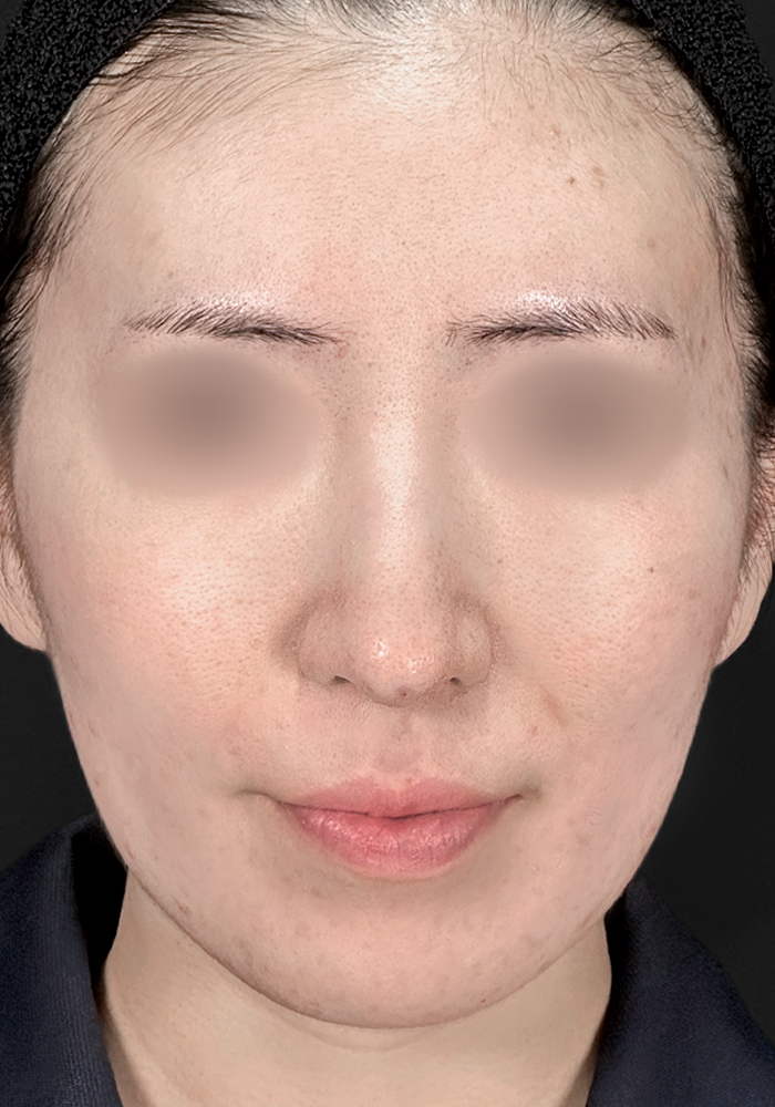
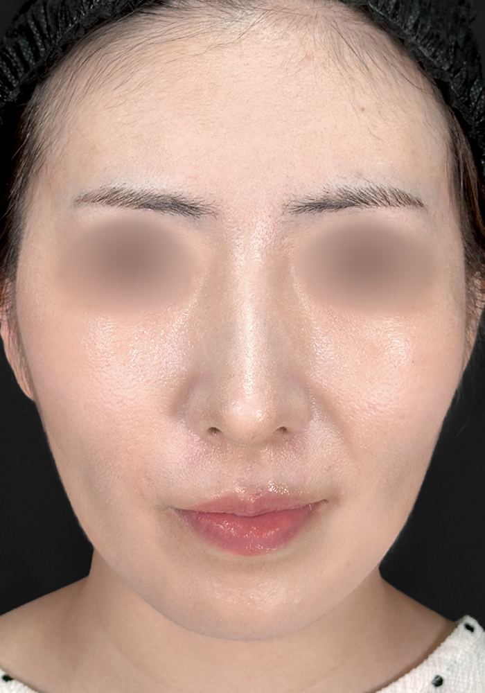
【20代女性・他院修正】他院異物除去+鼻フルコース(鼻複合自家組織移植術)+鼻骨骨削り術+鼻骨骨切り幅寄せ術|1ヵ月後
- 鼻の整形
- 鼻フル・忘れ鼻
- 鼻骨骨削り術
- 鼻骨骨切り幅寄せ術
- 女性
- 手術
- 他院修正
- 20歳代
症例写真
施術概要
他院で挿入した異物を除去し、鼻フルコースで鼻先全体をシャープに整えました。
また、鼻骨骨削り術・鼻骨骨切幅寄せ術で通った鼻筋に仕上げています。
| 施術時間 | 120分~150分程度 | 使用する麻酔 | 局所麻酔・静脈麻酔 |
|---|---|
| 術後の通院 | 1週間後:固定除去・抜糸 2週間後:組織採取部の抜糸 1ヵ月後:経過診察 3ヵ月後診察:経過診察 ※通院回数は、術後の経過などによって個人差があります。 |
| リスク・副作用 | 痛み:施術当日は若干鈍痛がありますが、数日間で落ち着きます。 腫れ:個人差がありますが、大きな腫れは2~3週間で徐々に治まります。 むくみ:完全に取れるのは3~6ヵ月かかることもあります。 傷痕:術後暫く赤く、硬くなります。3ヵ月程度で落ち着きますが、なじむまでには6ヵ月以上かかることもあります。 内出血:1~2週間ほどで落ち着きます。 血腫:術後に出血が起こり、皮下に溜まることがあります。 鼻閉症状:術後腫れの影響で鼻づまりの症状が現れますが、1~3ヵ月程度で回復します。 ※どのような手術でも極稀に、傷口の炎症や感染、変形が起こる可能性があります。 |
| シャワー | 組織採取部・患部を除いて翌日から可能 |
| 洗顔 | 患部を除いて翌日から可能 ※テープ固定が濡れない様にしてください。 |
| メイク | テープ固定除去後から可能 |
| 入浴 | 抜糸終了後から可能 |
- 施術時間
- 120分~150分程度
- 使用する麻酔
- 局所麻酔・静脈麻酔
- 術後の通院
- 1週間後:固定除去・抜糸
2週間後:組織採取部の抜糸
1ヵ月後:経過診察
3ヵ月後診察:経過診察
※通院回数は、術後の経過などによって個人差があります。
- リスク・副作用
- 痛み:施術当日は若干鈍痛がありますが、数日間で落ち着きます。
腫れ:個人差がありますが、大きな腫れは2~3週間で徐々に治まります。
むくみ:完全に取れるのは3~6ヵ月かかることもあります。
傷痕:術後暫く赤く、硬くなります。3ヵ月程度で落ち着きますが、なじむまでには6ヵ月以上かかることもあります。
内出血:1~2週間ほどで落ち着きます。
血腫:術後に出血が起こり、皮下に溜まることがあります。
鼻閉症状:術後腫れの影響で鼻づまりの症状が現れますが、1~3ヵ月程度で回復します。
※どのような手術でも極稀に、傷口の炎症や感染、変形が起こる可能性があります。
- シャワー
- 組織採取部・患部を除いて翌日から可能
- 洗顔
- 患部を除いて翌日から可能
※テープ固定が濡れない様にしてください。
- メイク
- テープ固定除去後から可能
- 入浴
- 抜糸終了後から可能
費用
¥2,365,000税込
2026年4月現在
別途:術前血液検査代・麻酔代
施術内容:他院異物除去(糸1本)・鼻フルコース(鼻複合自家組織移植術)・鼻骨骨削り術・鼻骨骨切り幅寄せ術
担当医師コメント
鷲鼻を改善し、忘れ鼻になりたいとご来院された患者様です。
他院で挿入した鼻筋の異物を除去後、鼻フルコースでご希望の形に鼻先を整えながら、鼻骨骨削り術と鼻骨骨切幅寄せ術を組み合わせ、スッと通ったなめらかな鼻筋に仕上げました。
整った鼻筋と自然なアップノーズで引き締まった印象になり、お顔全体とバランス良く調和しています。



















